
Click on any of the individual images below for a much larger view and scroll to see all the diary pictures. All eight egs hatched and all the chicks fledged on June 6th. The nest box cam is now off-line. If you enjoyed watching the live webcam, consider installing a nest box camera. If the box is used and you watch it live, in full screen and with sound, on your TV or computer, believe me, you will be in for a real treat.
These pictures are from a low resolution camera (not from my new HANDYKAM camera)
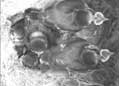
Last night there were 8 unhatched eggs. This morning there were 6 very tiny blue tit chicks and by early evening all eight had hatched. Click the picture on the left for a better view. Find out more about the importance of mealworms for raising a healthy brood. |
Click on any of the individual images below for a much larger view.
17th May - day 2 |
18th May - day 3 |
19th May - day 4 |
20th May - day 5 |
![]() |
![]() |
![]() |
|
Where are the chicks? |
Growing rapidly |
It's now possible to count all 8 chicks |
Reassuring to see there are still two parent birds! |
22nd May - day 7 |
23rd May - day 8 |
24th May - day 9 |
|
Developing well. Click any of the pictures on this page for a better view . |
Toilet time. Mum & dad debate whose turn it is! |
11:30 p.m. Restless chicks, so mum moves to one side |
|
26th May - day 11 |
27th May - day 12 |
28th May - day 13 |
|
The 'gapes' are still very prominent in picture 1. In pictures 2, 3 and 4 above the chicks' eyes are open and their wings are developing. Click any of the pictures for a better view. |
|||
30th May - day 15 |
31st May - day 16 |
1st June - day 17 |
|
Between 29th May and 1st June growth of these blue tit chicks has been rapid and the head markings are now obvious. |
|||
3rd June - day 19 |
4th June - day 20 |
5th June - day 21 |
|
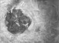
In just a few days' time these eight chicks will fledge (leave the nest). In picture 3 above there are 8 chicks and mum. It's hard now to distinguish the young from their parents. |
|||
Picture 1- It's only 5 a.m. but everyone's awake. This is the last day (or more appropriately the first day). The first chick left 2 hours' later. By 7:15 a.m. (picture 2) it's noticeably roomier in the nest box and by 8:40 a.m. (picture 3) there are only two chicks left. Picture 4 was captured at 9:00 a.m. but at 9:39 this lonely looking chick decided it was time to leave. If you missed it, here's a picture of the last chick leaving the nest box. |
|||
Final notes:- The camera in this box (Box 1) is only low resolution and was salvaged from a domestic cctv camera. Although the 'thumbnail' and enlarged pictures are less sharp then the ones from the new 'high res.' camera in Box 2, this does not detract in any way from seeing the action 'live' on your own television or computer monitor. You just turn up the sound that's picked up via the on-board microphone and enjoy it all.
Blue tits generally produce a single brood of chicks each year. If that brood fails, there is no second chance. There may be from 7 - 13 eggs, although clutches in gardens may be smaller. Eggs take from 10 to 15 days to hatch.
Mealworms are an excellent source of food to ensure the chicks' healthy development. Live food also gives the chicks a source of moisture which cannot be obtained from seeds.
The RSPB's advice at this time of the year, especially when the chicks have all hatched is is provide some food to help the parents. "Foods such as sunflower seeds or hearts, summer bird food mix, insectivorous mix, mealworms, mild grated cheese etc. should all be fine to help a developing family. Avoid peanuts, fatty foods and bread."